
Florida se priprema za jednu od najjačih tropskih oluja u poslednjih stotinu godina. Uragan Milton ide prema američkoj obali, a vlasti pozivaju stanovnike da se hitno evakuišu. Milton je opet ojačao na kategoriju 5 i mogao bi biti najjača oluja koja je ikad pogodila Floridu.
"Jedan od 10 najmoćnijih uragana ikad nastalih u Atlantiku"
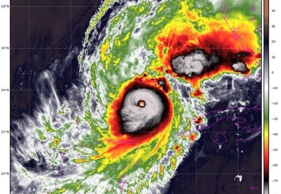
Meteorolog Derek Van Dam je na CNN-u rekao je da ima "otrežnjujuće informacije", dodavši da "uragan nije oslabio preko noći".
"Samo je pitanje sati kada ćemo osjetiti jake vjetrove tropske oluje u ovoj regiji, i samo je pitanje sati prije nego što vidimo kako nivo mora počinje rasti", opisujući uragan Milton kao "jedan od deset najmoćnijih uragana u atlantskom bazenu koji su ikada nastali."
Očekuje se rekordno podizanje mora na Floridi
Uragan Milton trebao bi stići do kopna kasno večeras kod Tampa Baya na Floridi. Osim orkanskih vjetrova i poplavnih kiša, očekuje se i abnormalan porasta nivoa mora uzrokovanog olujom.
Američki Nacionalni centar za uragane upozorava da bi uragan Milton mogao donijeti rekordno podizanje nivoa mora 3-5 m oko područja Tampa Baya i južno do mjesta Boca Grande. To se događa samo dvije sedmice nakon što je uragan Helene donio podizanje mora u Tampa Bayu, uzrokujući veliku štetu.
Helene - najsmrtonosnija oluja u SAD-u od Katrine 2005. - ubila je najmanje 225 ljudi i prouzrokovala štetu vrijednu milijarde dolara. U satima koji prethode Miltonovom dolasku do obale, meteorolozi će pratiti tačnu putanju jer će razlike od 30 do 50 km sjeverno ili južno određivati gdje će se vjerovatno dogoditi najekstremnije podizanje.
Objavljen dramatičan snimak, ribarski brod usred mora tokom prolaska Miltona
Fishing boat on seas faced the hurricane Milton in the Celestún of #Yucatán, #Mexico#Milton #hurricanemilton #MiltonFlorida #florida #flwx #Tampa #huragan #Burza pic.twitter.com/suXqNJRLe2
— Chaudhary Parvez (@ChaudharyParvez) October 9, 2024
Brodovi izbjegavaju obalu Floride
Podaci o praćenju brodova pokazuju da gotovo da nema plovila u blizini zapadne obale Floride. MarineTraffic, koji omogućuje praćenje uživo raznih plovila, prikazuje veliko prazno područje u Meksičkom zalivu.